Measuring dredging impact on black bream

Tarmac Marine, CEMEX UK Marine

Ecological Survey
Hydrographic-Geophysical Survey

Aggregate producers operating in and around the Kingmere Marine Conservation Zone, off the West Sussex coast, are required to monitor black bream nest viability and densities to ensure dredging causes no significant negative impacts.

Since 2019, ABPmer has been commissioned to support annual black bream monitoring requirements for Tarmac Marine and CEMEX UK Marine's dredging activities in licence areas 453 and 488. 

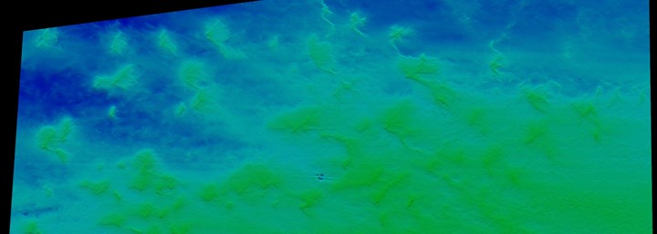
To identify the location and density of the bream nests, we deploy survey vessels during peak breeding season mobilised with multibeam echosounders, which use sonar to map the seabed.

The resulting data is processed to produce maps of seabed depth (bathymetry and backscatter), enabling the identification of nests from risen sediment and cleared hard rock surface. Our surveyors interpret the processed data and classify the nests in terms of density.

Post-processing of this geophysical data determines the transects (paths) for subsequent high-resolution underwater (drop-down) video surveys, undertaken over three months each year to ground truth the multibeam results and determine the seasonal extent of black bream spawning.

The survey results are summarised and interpreted in annual reports, which Tarmac and CEMEX submit to the Marine Management Organisation as an ongoing requirement of their marine licences.


ABPmer's surveyors support marine developments with a comprehensive understanding of habitats, species and the seabed, delivering a tailored survey programme to suit project requirements. Learn more about our ecological survey and hydrographic-geophysical survey capability.

black-bream-backscatter-420x150.jpg

Vicky West

Ecology
+44 (0)23 8071 1851

Ready to talk to a surveyor?

GET IN TOUCH
Logo

Marine and Coastal Survey - part of ABPmer

Contact us

ABPmer
Quayside Suite
Medina Chambers
Town Quay
Southampton
SO14 2AQ

E-zine sign-up